Destacados
Últimas noticias
Un juez de EEUU ordena a la Fuerza Aérea pagar más de 230 millones de dólares por un tiroteo de 2017 en Texas
Un juez federal de Estados Unidos ordenó el lunes a la Fuerza Aérea indemnizar con más de 230 millones de dólares a los sobrevivientes y familiares de las víctimas de un tiroteo de 2017 en Texas, por no informar los antecedentes penales del atacante.
Cuarenta y nueve condenas por los atentados de 2008 en Ahmedabad, en el oeste de India
Un tribunal indio condenó el martes a 49 personas en el marco del juicio por los atentados con bomba de Ahmedabad, en el oeste del país, que dejaron 56 muertos y más de 200 heridos en 2008.
Benedicto XVI pide "perdón" a las víctimas de abusos pero niega haber encubierto a sacerdotes
El papa emérito Benedicto XVI pidió perdón este martes por la violencia sexual contra niños cometida por el clero, pero negó haber encubierto a sacerdotes que cometían estos abusos cuando era arzobispo en Múnich.
UE descontará una multa de los fondos europeos a Polonia, que promete apelar
La Comisión Europea propuso este martes un enorme plan por unos 43.000 millones de euros (49.000 millones de dólares) para duplicar la producción de semiconductores en la Unión Europea (UE) hasta el año 2030 y alcanzar el 20% del mercado global.
Un restaurante en Irán hace comer a sus clientes en "prisión" para ayudar a los detenidos
Comer detrás de unos barrotes vestido con el uniforme rayado de los presos es posible en Teherán, donde un restaurante propone a sus clientes pasar un momento en "prisión", y ayudar con la cuenta a liberar a quienes están encarcelados por deudas impagadas.
Yogi Adityanath, sacerdote y político hindú, potencial sucesor en India de Modi
El sacerdote hindú Yogi Adityanath, célebre por sus diatribas antimusulmanas, encabeza este jueves al partido nacionalista hindú Bharatiya Janata Party (BJP) en las elecciones regionales de Uttar Pradesh, el estado más poblado de India, que podrían colocarlo en caso de victoria en posición de suceder al primer ministro Narendra Modi.
Un informe acusa a la policía norirlandesa de "colusión" en asesinatos unionistas en los años 1990
La policía norirlandesa mostró un "comportamiento colusorio" respecto a once asesinatos cometidos en atentados atribuidos a grupos paramilitares unionistas en Belfast en la década de 1990, momento álgido de la violencia en esa región británica, afirmó el martes la defensora del pueblo.
Crece la tensión por las protestas prolongadas de camioneros en Canadá
Las autoridades canadienses seguían luchando el lunes para controlar una protesta de camioneros contra las restricciones impuestas en el marco de la pandemia, la cual paraliza la capital desde hace varios días y amenaza con convertirse en una verdadera crisis política para el primer ministro, Justin Trudeau, quien exigió el cese inmediato de las movilizaciones.
La UE descontará una multa de los fondos europeos de Polonia en una decisión inédita
La Comisión Europea anunció este martes que comunicó a Polonia que descontará de sus fondos europeos el valor de una multa impuesta por ignorar una decisión del Tribunal de Justicia de la UE, un hecho sin precedentes en el bloque.
Primer ministro australiano pide perdón por abusos y acoso en el Parlamento
El primer ministro australiano pidió disculpas el martes por el acoso sexual generalizado, el abuso y la intimidación el Parlamento desveladas en un informe después de que una empleada denunciara una violación hace un año.
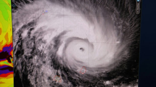
El ciclón Batsirai deja 21 muertos, devastación y crisis humanitaria en Madagascar
El ciclón Batsirai abandonó Madagascar el lunes por la mañana sin afectar a las principales ciudades, pero dejando al menos 21 muertos y devastando los arrozales del centro del país, lo que podría agravar la situación humanitaria.
Condenan a Carrefour en Francia por el suicidio de una empleada
La justicia francesa condenó este lunes a la multinacional Carrefour a una multa de 50.000 euros (unos 57.000 dólares) por "homicidio involuntario", tras el suicidio de una trabajadora en el centro del país en 2017.
Las dificultades de los raperos en República Democrática del Congo
En la prisión donde cumple una condena de diez años, el joven rapero congoleño Idengo quiso dar un concierto en honor a sus héroes Patrice Lumumba y Laurent-Désiré Kabila. Pero el alcaide se negó porque temía que provocara una fuga de reclusos.
Irán critica a los países europeos que "albergan" a separatistas
Irán criticó el lunes a los países europeos que rechazan extraditar jefes de organizaciones separatistas y advirtió a naciones vecinas que financian grupos como el ASMLA (Movimiento árabe de lucha para la liberación de Ahvaz)" considerado como "terrorista" por Teherán.
Entierran en Marruecos al niño que murió atrapado en un pozo
Después de la conmoción que generó en Marruecos y el mundo entero la trágica muerte del pequeño Rayan, que falleció atrapado en un pozo, el niño fue enterrado el lunes cerca su aldea.
Casi 20 muertos en una avalancha en la frontera entre Afganistán y Pakistán
Al menos 19 personas murieron en una avalancha el lunes mientras intentaban cruzar un puerto de montaña de Afganistán a Pakistán, informó un responsable local talibán.
El gobierno de Israel promete actuar ante el escándalo del espionaje policial con Pegasus
El gobierno israelí aseguró este lunes que "no dejará sin respuesta" y actuará ante el escándalo del espionaje policial a políticos, periodistas y empresarios mediante el programa informático Pegasus, objeto de nuevas revelaciones.
Los socialistas en el poder impulsan una comisión de expertos para investigar la pederastia en la Iglesia española
El Partido Socialista del presidente del gobierno español, Pedro Sánchez, solicitó este lunes en el Parlamento la conformación de una comisión de expertos que investigue los abusos sexuales a menores en la Iglesia católica, institución que sigue manteniendo la opacidad en ese tema.
Los desastres climáticos aumentan y amenazan la subsistencia de pastores en Kenia
Dabaso Galgalo ya está acostumbrado al olor y al triste espectáculo de la carne putrefacta de animales que mueren sofocados por los desastres climáticos que azotan a Kenia.
China restablece el final del filme "El club de la lucha" tras el revuelo por haberlo cambiado
La película de culto de David Fincher "El club de la lucha", con Brad Pitt y Edward Norton y cuyo final retocado en China suscitó la indignación de los cinéfilos, se puede ver ahora en el país en su versión original.
Un accidente de autobús en Indonesia deja 13 muertos y decenas de heridos
Al menos 13 personas murieron y decenas resultaron heridas cuando un autobús que llevaba a los trabajadores de una fábrica a un paseo en la playa se accidentó en la isla indonesia de Java, informó la policía la noche del domingo.
Virulento fuego arrasa un parque nacional de Kenia
Guardabosques y voluntarios combatían las llamas y los fuertes vientos para controlar un incendio que arrasaba el parque nacional de Aberdare, en el centro de Kenia.
El ciclón Batsirai deja seis muertos en Madagascar y miles de desplazados
Al menos seis personas murieron y cerca de 48.000 han sido desplazadas en Madagascar por el paso del ciclón Batsirai, que tocó tierra la noche del sábado en esta isla del océano Índico, informó este domingo la Agencia de gestión de desastres malgache.
Incendio en la catedral donde están las cenizas de Desmond Tutu
Un incendio ocurrió el sábado por la noche en la catedral de San Jorge de Ciudad del Cabo, donde están enterradas las cenizas del héroe de la lucha contra el apartheid, el arzobispo Desmond Tutu, informó un funcionario de la iglesia.
Marruecos conmocionado por trágica muerte del "pequeño Rayan"
Marruecos estaba conmocionado el domingo, al día siguiente del descubrimiento del cuerpo sin vida del pequeño Rayan, que cayó accidentalmente en un pozo a principios de esta semana y los rescatistas no pudieron salvar, a pesar de cinco días de incesantes esfuerzos, que fueron observados por el mundo entero.
Australia urge a Birmania liberar a economista detenido por militares
La ministra australiana de Relaciones Exteriores exigió el domingo la "liberación inmediata" del economista Sean Turnell, detenido por la junta militar de Birmania desde hace un año.
Jefe de ONU espera que China permita visita de Alta Comisionada de DDHH a Xinjiang
El secretario general de la ONU, Antonio Guterres, dijo a líderes en Pekín que confía que permitan una visita "creíble" a China de la jefa de derechos humanos del organismo, Michelle Bachelet, incluyendo una parada en la convulsionada región de Xinjiang, informó su portavoz el sábado.
El ciclón Batsirai golpea la costa este de Madagascar, que teme "daños generalizados"
El ciclón Batsirai alcanzó el sábado la costa este de Madagascar, con rachas de viento de 235 km/h y fuertes lluvias que hacen temer "daños generalizados" según alertó el servicio meteorológico de esta gran isla del Índico.
El príncipe Andrés declarará bajo juramento por caso de agresión sexual
El príncipe Andrés prestará una declaración jurada en marzo en Londres ante los abogados de Virginia Giuffre, que le acusa de agresión sexual, dijo el sábado a la AFP una fuente cercana al hijo de la reina Isabel II.
Los test de saliva para detectar el covid-19 triunfan en Austria
En un incesante ir y venir de camiones, cientos de miles de cajas azules llegan cada día a un laboratorio de Viena, símbolo del éxito en Austria de los test de saliva para detectar el covid-19.
Vacunación obligatoria contra el coronavirus se vuelve realidad en Austria
Ya es oficial: los austriacos de más de 18 años deben, a partir del sábado, vacunarse contra el covid-19 so pena de enfrentar una fuerte multa, una medida sin precedentes en la Unión Europea.
Los rescatistas inician fase decisiva para salvar a niño caído en un pozo en Marruecos
Los equipos de rescate comenzaron el viernes la última fase, muy delicada y arriesgada, de perforación para intentar sacar con vida a un niño de cinco años que cayó en un profundo pozo en un pueblo de Marruecos, una operación que tiene en vilo al país.